ବାତ୍ୟା ଆସେ, ଚାଲିଯାଏ। ହେଲେ ବାତ୍ୟାକୁ ସାମ୍ନା କରିଥିବା ମଣିଷର ବିପର୍ଯ୍ୟୟର ସୀମା ନ ଥାଏ। ତେବେ ଯଦି ବାତ୍ୟାର ପୂର୍ବାନୁମାନ ହେଇପାରେ, ଅନେକ କ୍ଷୟକ୍ଷତିକୁ ରୋକି ହେବ। ତେବେ କେମିତି ହୁଏ ବାତ୍ୟାର ପୂର୍ବାନୁମାନ ଓ କେମିତି ଥାଏ ବାତ୍ୟା ପରର ପରିବେଶ ଓ କେମିତି ସାମ୍ନା କରିବାକୁ ହୁଏ ତା’ ପରର ସ୍ଥିତି….

ନିକଟ ଅତୀତରେ ଭାରତର ଉପକୂଳବର୍ତ୍ତୀ ରାଜ୍ୟ ଓଡ଼ିଶାରେ ସାମୁଦ୍ରିକ ଘୂର୍ଣ୍ଣିଝଡ଼ ‘ଫନୀ’ ପ୍ରଭାବରେ ନାହିଁ ନଥିବା କ୍ଷତି ହୋଇଛି। ସରକାରୀ ହିସାବ ମୁତବାକ ଲକ୍ଷଲକ୍ଷ ଗଛ ଉପୁଡ଼ି ପଡ଼ିଛି। ୧ ଲକ୍ଷ ୫୯ ହଜାର ଇଲେକ୍ଟ୍ରିକ୍ ଖୁଣ୍ଟ ଉପୁଡି ପଡିଛି। ହଜାର ହଜାର ଟେଲିଫୋନ ଟାଓ୍ବାର ଉପୁଡ଼ି ପଡିଛି। ଏହାଛଡ଼ା ଚାଳଛପର ଘର, କୋଠାଘର, ଦୋକାନଘର, ବେଳାଭୂମି, ମନ୍ଦିର, ଅଭୟାରଣ୍ୟ, ଦର୍ଶନୀୟ ସ୍ଥାନ ସଭିଏ ବେଶ୍ ବିପର୍ଯ୍ୟୟର ସମ୍ମୁଖୀନ ହୋଇଛନ୍ତି। ତେବେ ଗୁରୁତ୍ୱପୂର୍ଣ୍ଣ ଘଟଣାକ୍ରମରେ ବାତ୍ୟାର ପ୍ରାକ୍ ସୂଚନା ଠିକ୍ଭାବେ ଆକଳନ କରାଯାଇଥିବା ଯୋଗୁଁ ଏହାର ଗତିପଥ ଓ ତୀବ୍ରତା ସମ୍ପର୍କରେ ସରକାର ଅବଗତ ହୋଇପାରିଥିଲେ ଏବଂ ସେହି ଅନୁସାରେ ଜନସାଧାରଣଙ୍କୁ ସତର୍କତା ଓ ସଚେତନ କରାଯାଇପାରିବା ସହ ବାତ୍ୟା ଅଞ୍ଚଳରୁ ଲକ୍ଷ ଲକ୍ଷ ଲୋକଙ୍କୁ ସ୍ଥାନାନ୍ତରଣ କରାଯାଇପାରିଥିଲା।

ଆସେ ବାତ୍ୟା: ବିଜ୍ଞାନ ଅନୁଯାୟୀ ଏକ ବୃହଦାକାର ବାୟୁସମ୍ଭାର ଯାହା ନିମ୍ନ ବାୟୁମଣ୍ଡଳୀୟ ଚାପ ଥିବା ଅଞ୍ଚଳରେ ଏକ ସୁଦୃଢ଼ କେନ୍ଦ୍ରବିନ୍ଦୁ ଚାରିପଟେ ଘୂର୍ଣ୍ଣାୟମାନ ଅବସ୍ଥାରେ ରହିଥାଏ। ପ୍ରାୟ ୮୦୦ ରୁ ୧୬୦୦ କିମି ବ୍ୟାସ ବିଶିଷ୍ଟ ଗୋଲେଇ ପରିମିତ ଏହା ଏକ ଘୂର୍ଣ୍ଣେନ୍ଦ୍ରେୟମାନ ଶକ୍ତି ଯାହା ନିଜ ମଧ୍ୟରେ ବାୟୁ ଚାପକୁ କମ୍ ରଖିଥାଏ। ଏହାର ଅନ୍ୟ ଚାରିପାଖରେ ସ୍ବତଃସ୍ଫୁର୍ତ୍ତ ଭାବରେ ବାୟୁଚାପ ଅହେତୁକ ଭାବେ ବୃଦ୍ଧି ପାଇଥାଏ। ପୃଥିବୀ ପୃଷ୍ଠରେ ତାପମାତ୍ରାଜନିତ ଅସମାନତା କାରଣରୁ ବାୟୁ ଚାପରେ ତାରତମ୍ୟ ସୃଷ୍ଟି ହୋଇଥାଏ, ଯାହା ବାତ୍ୟା ସୃଷ୍ଟି ହେବାର ମୂଳ କାରଣ। ଏଥିରେ ଉଚ୍ଚଚାପ ବିଶିଷ୍ଟ ଚତୁଃପାର୍ଶ୍ୱ ଅଞ୍ଚଳରୁ ନିମ୍ନଚାପ ବିଶିଷ୍ଟ କେନ୍ଦ୍ରାଞ୍ଚଳକୁ ପ୍ରବଳ ବେଗରେ ପବନ ବହିଥାଏ। ପବନର ବେଗ ଅନୁଯାୟୀ ଏହାର ପ୍ରକାର ଭେଦ କରାଯାଇଥାଏ। ବାତ୍ୟା ଅଥବା ମହାବାତ୍ୟା ପାଇଁ ଅନ୍ୟାନ୍ୟ ଦେଶଗୁଡ଼ିକରେ ସାଇକ୍ଲୋନ୍, ତାଇଫୁନ୍, ହରିକେନ୍ ଭଳି ଶବ୍ଦ ବ୍ୟବହାର କରାଯାଇଥାଏ। ଏସବୁ ଶବ୍ଦର ଅର୍ଥ ଅଳ୍ପେବହୁତେ ସମାନ। କେବଳ ଆଞ୍ଚଳିକ ଓ ଭୌଗୋଳିକ ତଥା ଦାନା ବାନ୍ଧୁଥିବା ମହାସାଗରର ପ୍ରଭେଦକୁ ନେଇ ଏଗୁଡ଼ିକର ନାମ ଭିନ୍ନ ଭିନ୍ନ ହୋଇଥାଏ। ଆଟ୍ଲାଣ୍ଟିକ ମହାସାଗରରେ ସୃଷ୍ଟି ଝଡ଼କୁ ‘ହରିକେନ୍’ ନାମରେ ନାମକରଣ କରାଯାଇଥିବାବେଳେ ପ୍ରଶାନ୍ତ ମହାସାଗରୀୟ ଜଳରାଶିରେ ଝଡ଼କୁ ‘ତାଇଫୁନ’ ଓ ଭାରତ ମହାସାଗରୀୟ ଜଳରାଶିରେ ସୃଷ୍ଟି ବାତ୍ୟାକୁ ‘ସାଇକ୍ଲୋନ’ କୁହାଯାଇଥାଏ। ସାମୁଦ୍ରିକ ଜଳରାଶି ଉପରେ କୌଣିସି ବାଧାବିଘ୍ନ ନ ଥିବାରୁ ବାୟୁ ପ୍ରବାହର ବେଗ ସର୍ବଦା ୬୦-୭୦ କି.ମି. ପାଖାପାଖି ରହିଥାଏ। ତେବେ ବାୟୁ ପ୍ରବାହର ବେଗ ଘଣ୍ଟାପ୍ରତି ୭୪-୭୫ କିମିରୁ ବୃଦ୍ଧି ପାଇଲେ ଏହା ବାତ୍ୟାରେ ଅନ୍ତର୍ଭୁକ୍ତ ହୋଇଥାଏ। ବାତ୍ୟାରେ ହେଉଥିବା ବାୟୁପ୍ରବାହ ବେଗକୁ ନେଇ ଏହାକୁ ଭିନ୍ନ ଭିନ୍ନ ଶ୍ରେଣୀଯୁକ୍ତ କରାଯାଇଛି। ସମୁଦ୍ରରେ ସୃଷ୍ଟି ହେଉଥିବା ଏଭଳି ଲଘୁଚାପର ବେଗ ୧୦୫କିମି/ଘଣ୍ଟା ଭିତରେ ରହିଲେ ବ୍ୟାପକ ଘରଦ୍ୱାର, ଦୋକାନ ବଜାର ଆଦି ନଷ୍ଟ ହୋଇଥାଏ। ବାତ୍ୟାର ଦ୍ୱିତୀୟ ଶ୍ରେଣୀରେ ପବନର ବେଗ ୧୨୫ରୁ ୧୬୪କିମି ଭିତରେ। ପବନର ବେଗ ୧୬୫ରୁ ୨୨୪କିମି ମଧ୍ୟରେ ରହିଲେ ଏହାକୁ ଭୀଷଣ ବାତ୍ୟା ବା ସିଭିୟର ସାଇକ୍ଲୋନ କୁହାଯାଇଥାଏ। ୨୨୫ରୁ ୨୭୯ କିମି ପ୍ରତି ଘଣ୍ଟା ବାୟୁପ୍ରବାହ ହୋଇଥିଲେ ଏହାକୁ ପ୍ରଳୟଙ୍କରୀ ବାତ୍ୟାର ଶ୍ରେଣୀଭୁକ୍ତ କରାଯାଇଥାଏ। ତେବେ ପବନର ବେଗ ୨୮୦କିମିରୁ ବୃଦ୍ଧି ପାଇଲେ ଏହା ପ୍ରଳୟଙ୍କରୀ ବାତ୍ୟାର ରୂପ ଧାରଣ କରେ। ଏହା ପରିବେଶ ଓ ଧନଜୀବନର ବ୍ୟାପକ କ୍ଷୟକ୍ଷତି କରିଥାଏ।

ବାତ୍ୟାର ନାମକରଣ: ବାତ୍ୟାର ନାମକରଣର ଇତିହାସ ଅବଲୋକନ କଲେ ଜଣାଯାଏ ଯେ ବାତ୍ୟାର ପ୍ରଥମ ନାମକରଣ ଆଟ୍ଲାଣ୍ଟିକ୍ ମହାସାଗରରେ ବିଂଶ ଶତାବ୍ଦୀ ମଧ୍ୟଭାଗରେ ସୃଷ୍ଟି ହୋଇଥିବା ବାତ୍ୟା ‘ଆଣ୍ଟେ’ଠାରୁ ଆରମ୍ଭ ହୋଇଥିଲା। ଅନ୍ୟପକ୍ଷରେ କ୍ୟାରିବିୟାନ ଦ୍ୱୀପ ସମୂହର ଅଧିବାସୀ ରୋମାନ୍ କ୍ୟାଥୋଲିକ୍ କ୍ୟାଲେଣ୍ଡରର ନାମ ଅନୁଯାୟୀ ବାତ୍ୟାର ନାମକରଣ କରିବା ଆରମ୍ଭ କରିଥିଲେ। ପ୍ରାରମ୍ଭିକ ପର୍ଯ୍ୟାୟରେ ସ୍ଥାନ ବିଶେଷ, ସାମଗ୍ରୀ, ମୁନିଋଷି ଅଥବା ମହାପୁରୁଷଙ୍କ କଳ୍ପବିଧିକୁ ନେଇ ବାତ୍ୟାର ନାମକରଣ କରାଯାଇଥିଲା। ତେବେ ଏଥିରେ ବ୍ୟତିକ୍ରମ କରିଥିଲେ କ୍ୱିନ୍ସଲ୍ୟାଣ୍ଡ ସରକାରଙ୍କ ପାଣିପାଗ ବିଶେଷଜ୍ଞ କ୍ଲେମେଣ୍ଟ ଫେରେଜ୍। ବ୍ୟକ୍ତିବିଶେଷଙ୍କ ନାମ ଅନୁଯାୟୀ ସେ ବାତ୍ୟାର ନାମକରଣ ଆରମ୍ଭ କରିଥିଲେ, ଯାହା ଦ୍ୱିତୀୟ ବିଶ୍ୱଯୁଦ୍ଧ ପର୍ଯ୍ୟନ୍ତ କାର୍ଯ୍ୟକାରୀ ହୋଇଥିଲା। ଏହାପରେ ବାତ୍ୟାର ନାମକରଣକୁ ନେଇ ପୁନଶ୍ଚ ନୂତନଧାରା ଆରମ୍ଭ ହେଲା। ୧୯୫୩ ମସିହାରେ ଆମେରିକୀୟ ପାଣିପାଗ ବିଭାଗ ପକ୍ଷରୁ କେବଳ ଇଂରାଜୀ ଅକ୍ଷର ‘ଏ’ ଠାରୁ ‘ଡବ୍ଲ୍ୟୁ’ରେ ଆରମ୍ଭ ହୋଇଥିବା ମହିଳାଙ୍କ ନାମାନୁସାରେ ବାତ୍ୟାର ନାମକରଣ ଆରମ୍ଭ କରାଗଲା। ତେବେ ପରବର୍ତ୍ତୀ ସମୟରେ ଅନ୍ତର୍ଜାତୀୟ ମହିଳା ସଂଗଠନ ତରଫରୁ ଏହାକୁ ପ୍ରବଳ ବିରୋଧ ଯୋଗୁ ଏହି ଧାରା ବାଦ୍ ପଡିଥିଲା। ୧୯୭୮ ମସିହା ପରଠାରୁ ବାତ୍ୟାର ନାମକରଣ ଧାରାରେ ପୁରୁଷଙ୍କ ନାମ ମଧ୍ୟ ସାମିଲ ହେଲା। ତେବେ ସାଂପ୍ରତିକ ସମୟରେ ଏହି ପ୍ରକ୍ରିୟା କିଛି ଦେଶକୁ ନେଇ ଗଠିତ ଗୋଷ୍ଠୀ ଦ୍ୱାରା ପ୍ରସ୍ତାବିତ ନାମକୁ ନେଇ କରାଯାଇଛି।

ଗୋଲାର୍ଦ୍ଧରେ ଉତ୍ତର ଆଟ୍ଲାଣ୍ଟିକ୍ ଓ ପୂର୍ବ ପ୍ରଶାନ୍ତ ମହାସାଗରୀୟ ଅଞ୍ଚଳ ପାଇଁ ଆମେରିକାନ୍ ନ୍ୟାଶନାଲ ଅରିକେନ୍ ସେଣ୍ଟର, କେନ୍ଦ୍ରୀୟ ପ୍ରଶାନ୍ତ ମହାସାଗରୀୟ ଅଞ୍ଚଳ ପାଇଁ ଆମେରିକାନ୍ ସେଣ୍ଟ୍ରାଲ ପାସପିକ୍ ହରିକେନ୍ ସେଣ୍ଟର, ପଶ୍ଚିମ ପ୍ରଶାନ୍ତ ମହାସାଗର ଅଞ୍ଚଳ ପାଇଁ ଜାପାନ୍ ମେଟେରୋଲଜିକାଲ ଏଜେନ୍ସି, ଉତ୍ତର-ଭାରତ ମହାସାଗର ଅଞ୍ଚଳ ପାଇଁ ଭାରତୀୟ ପାଣିପାଗ କେନ୍ଦ୍ର ନାମକରଣର ଦାୟିତ୍ୱ ଗ୍ରହଣ କରିଛନ୍ତି। ଗୋଟିଏ ଏଜେନ୍ସି ମଧ୍ୟରେ ଥିବା କୌଣସି ସଦସ୍ୟଙ୍କ ପ୍ରସ୍ତାବକ୍ରମେ ଏହି ନାମକୁ ପ୍ରତ୍ୟାହାର କରି ଅନ୍ୟ ନାମ ଦେଇପାରିବେ, କିନ୍ତୁ ଏଥିପାଇଁ କମିଟିର ସର୍ବସମ୍ମତି ଆବଶ୍ୟକ। ୨୦୦୦ ମସିହା ପରଠାରୁ ଭାରତ ମହାସାଗରୀୟ ଅଞ୍ଚଳରେ ନାମକରଣ ପ୍ରକ୍ରିୟା ଆରମ୍ଭ ହୋଇଥିଲା। ଏହି ଅଞ୍ଚଳରେ ଥିବା ୮ଟି ଦେଶ ବାଂଲାଦେଶ, ଭାରତ, ମାଳଦ୍ୱୀପ, ଶ୍ରୀଲଙ୍କା, ଥାଇଲାଣ୍ଡ, ମ୍ୟାନ୍ମ୍ୟାର, ଓମାର ଓ ପାକିସ୍ତାନ ନିଜ ପସନ୍ଦ ମୁତାବକ ଏକାଧିକ ନାମ ଆନ୍ତର୍ଜାତିକ ପାଣିପାଗ ସଂଗଠନର ଆଞ୍ଚଳିକ କାର୍ଯ୍ୟାଳୟକୁ ପ୍ରଦାନ କରିସାରିଛନ୍ତି। ବର୍ତ୍ତମାନ ଆସିଥିବା ବାତ୍ୟା ‘ଫନୀ’ର ନାମକରଣ ବାଂଲାଦେଶ ଦ୍ୱାରା କରାଯାଇଥିବା ବେଳେ ପରବର୍ତ୍ତୀ ବାତ୍ୟାର ନାମ ଭାରତ ତରଫରୁ ‘ବାୟୁ’ ରଖାଯାଇଛି।

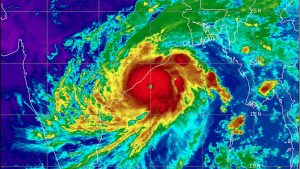
କ’ଣ ଥିଲା ଫନୀ: ନିକଟ ଅତୀତରେ ଓଡ଼ିଶାରେ ପ୍ରଳୟ ରଚିଥିବା ‘ଫନୀ’। ସାମୁଦ୍ରିକ ଘୂର୍ଣ୍ଣିବାତ୍ୟା କଥା ବିଚାରକୁ ନେଲେ ଜଣାଯାଏ ଯେ, ଦୁଇଟି କାରଣରୁ ଏହା ଥିଲା ଅନ୍ୟ ବାତ୍ୟାଠାରୁ ଭିନ୍ନ। ପ୍ରଥମତଃ ଏପ୍ରିଲ ମାସରେ ହୋଇଥିବା ବାତ୍ୟା ସାଧାରଣତଃ ଅସ୍ବାଭାବିକ। ୧୯୮୧ ମସିହାରୁ ଏଯାବତ୍ ଆମ ଦେଶରେ ସୃଷ୍ଟି ହୋଇଥିବା ମୋଟ ବାତ୍ୟାର ମାତ୍ର ୩ ପ୍ରତିଶତ ବାତ୍ୟା ଏପ୍ରିଲ ମାସରେ ସୃଷ୍ଟି ହୋଇଛି। ଦ୍ୱିତୀୟତଃ ଏହା ପୂର୍ବରୁ ବଙ୍ଗୋପସାଗରରେ ସୃଷ୍ଟି ହୋଇ ଭାରତରେ ସ୍ଥଳଭାଗ ଛୁଇଁଥିବା ଏପ୍ରିଲ ମାସର ବାତ୍ୟା ସଂଖ୍ୟା ହେଉଛି ମାତ୍ର ଗୋଟିଏ, ଯାହା ୧୯୬୬ରେ ସୃଷ୍ଟି ହୋଇଥିଲା।

‘ଫନୀ’ର ଅନ୍ୟ ଏକ ବିଲକ୍ଷଣ ହେଉଛି, ସାଧାରଣତଃ ସ୍ଥଳଭାଗରେ ମାଡ ହେବା ପରେ ସାମୁଦ୍ରିକ ବାତ୍ୟାର ତୀବ୍ରତା ହ୍ରାସ ପାଉଥିବା ବେଳେ ସ୍ଥଳଭାଗ ଛୁଇଁବା ବେଳେ ବାତ୍ୟା ଫନୀର ସର୍ବୋଚ୍ଚ ବେଗ ଥିଲା ପାଖାପାଖି ଘଣ୍ଟା ପ୍ରତି ୨୦୦କିମି। ୨୦୦୦ ମସିହା ପରେ ଉତ୍ତର ଭାରତୀୟ ମହାସାଗରରେ ସୃଷ୍ଟି ହୋଇଥିବା ବାତ୍ୟା ମଧ୍ୟରେ ବେଗ ତଥା ତୀବ୍ରତା ଦୃଷ୍ଟିରୁ ଏହା ସପ୍ତମ ସ୍ଥାନରେ ରହିଛି।

ଫନୀକୁ ନେଇ ଭାରତୀୟ ମହାକାଶ ଗବେଷଣା ସଂସ୍ଥା ଏବଂ ପାଣିପାଗ ବିଜ୍ଞାନ ତରଫରୁ ମିଳିତ ଭାବରେ କରାଯାଇଥିବା ପୂର୍ବାନୁମାନର କାହାଣୀ ଥିଲା ବେଶ୍ କୌତୂହଳପୂର୍ଣ୍ଣ। ଗତ ମାସ ଏପ୍ରିଲ ୨୧ ତାରିଖରେ ଭାରତୀୟ ପାଣିପାଗ ବିଭାଗ ଜାଣିପାରିଥିଲା ଯେ, ବଙ୍ଗୋପସାଗର ଓ ଭାରତ ମହାସାଗର ସୀମାରେ ଲଘୁଚାପ ସୃଷ୍ଟି ହେବାକୁ ଯାଉଛି। ଲଘୁଚାପ ହେଉଛି ଯେକୌଣସି ବାତ୍ୟାର ପ୍ରଥମ ଆଭାସ। ତେବେ ଏହି ବାତ୍ୟାର ରୂପ କ’ଣ ହେବ, ସାମାନ୍ୟ ରହିବ ନା ଭୟଙ୍କର ହେବ, କେଉଁ ଦିଗକୁ ଗତି କରିବ, ପବନର ତୀବ୍ରତା କ’ଣ ରହିବ। କେଉଁଠି ମାଡ଼ ହେବ, ବାତ୍ୟାର ଆଖି କେତେ ବ୍ୟାସାର୍ଦ୍ଧ ବିଶିଷ୍ଟ ରହିବ- ଏ ସମ୍ପର୍କରେ ପୂର୍ବାନୁମାନ କରିବା ପୂର୍ବରୁ ପାଣିପାଗ ବିଭାଗ ପକ୍ଷରୁ ବେଶ୍ ପରିଶ୍ରମ କରିବାକୁ ପଡିଥିଲା। ଲଘୁଚାପ ସୃଷ୍ଟି ହେଉଥିବା ସମୁଦ୍ର ଭାଗରୁ ବିଭିନ୍ନ ପ୍ରକାର ତଥ୍ୟ ସଂଗ୍ରହ କରାଯାଇ ବିଭିନ୍ନ ମହଲରେ ଏହାର ବିଶ୍ଳେଷଣ ଆରମ୍ଭ ହୋଇଥିଲା। ଖୁବକମ୍ ସମୟ ମଧ୍ୟରେ ଏବଂ ବ୍ୟାପକ ରୂପେ ହେଉଥିବା ଏହି କସରତ ପରେ ଯାଇ ସମ୍ଭାବ୍ୟ ବାତ୍ୟାର ରୂପରେଖ ନେଇ ପାଣିପାଗ ବିଭାଗ ତରଫରୁ ପୂର୍ବାନୁମାନ କରାଯାଇଥିଲା।

ଐହି ପ୍ରକ୍ରିୟାରେ କେନ୍ଦ୍ର ଭୂବିଜ୍ଞାନ ବିଭାଗ ଅଧୀନରେ ଥିବା ଅନେକ ଅନୁମାନ ସାମିଲ ହୋଇଥିଲେ। ଚେନ୍ନାଇସ୍ଥିତ ନ୍ୟାଶନାଲ ଇନ୍ଷ୍ଟିଚ୍ୟୁଟ୍ ଅଫ୍ ଓସେନ ଟେକ୍ନୋଲୋଜି, ପୁଣେସ୍ଥିତ ଇଣ୍ଡିଆନ ଇନ୍ଷ୍ଟିଚ୍ୟୁଟ୍ ଅଫ୍ ଟ୍ରପିକାଲ ମେଟ୍ରୋଲୋଜି, ନୋଏଡାସ୍ଥିତ ନ୍ୟାଶନାଲ ସେଣ୍ଟର ଫର ମିଡିୟମ ରେଞ୍ଜ ଓ୍ବେଦର୍ ଫୋରକାଷ୍ଟ, ହାଇଦ୍ରାବାଦସ୍ଥିତ ନ୍ୟାଶନାଲ ସେଣ୍ଟର ଫର ଓସିଏନ୍ ଫର୍ମେସନ୍ ସର୍ଭିସ ଭଳି ଅନୁଷ୍ଠାନଗୁଡ଼ିକର ସହାୟତା ନିଆଯାଇଥିଲା। ଏତଦ୍ବ୍ୟତୀତ ବିଭିନ୍ନ ଦ୍ୱୀପପୁଞ୍ଜରେ ଥିବା ପର୍ଯ୍ୟବେକ୍ଷଣ କେନ୍ଦ୍ରରୁ ମଧ୍ୟ ତଥ୍ୟ ସଂଗ୍ରହ କରାଯାଇଥିଲା।
ମାରାତ୍ମକ ଫନୀ ପାଇଁ ଏଥର ଭାରତୀୟ ମହାକାଶ ଓ ଗବେଷଣା ସଂସ୍ଥା (ଇସ୍ରୋ) ତରଫରୁ ୪ଟି ସାଟେଲାଇଟ୍ ବିନିଯୋଗ କରାଯାଇଥିଲା। ଯେଉଁଗୁଡ଼ିକ ୨୪ ଘଣ୍ଟା ଧରି ସମୁଦ୍ର ଉପରେ ରହି ସମନ୍ବୟ ଦ୍ୱାରା ବାତ୍ୟାର ଗତିପଥ, ତୀବ୍ରତା ଓ ଲ୍ୟାଣ୍ଡଫଲ କରିବାର ପ୍ରକୃତ ତଥ୍ୟ ଜାଣିପାରିଥିଲେ। ପାଣିପାଗ ବିଭାଗ ପକ୍ଷରୁ ଦିଆଯାଇଥିବା ନିର୍ଦ୍ଦିଷ୍ଟ ସୂଚନା ଅନୁଯାୟୀ ହିଁ ସବୁ ଘଟିଥିଲା। ଏପ୍ରିଲ ୫ ତାରିଖରେ ବିଭାଗ ପକ୍ଷରୁ ଦୃଢତାର ସହ ଜଣାଇଦିଆଗଲା ଯେ, ବାତ୍ୟା ଫନୀ ଅତ୍ୟନ୍ତ ଭୀଷଣ ରୂପ ନେଇ ମେ ୩ ତାରିଖରେ ପୁରୀ ଉପକୂଳରେ ମାଡ଼ ହେବ। ଫଳରେ ଏଥିରୁ ସତର୍କତାମୂଳକ ପଦକ୍ଷେପ ଗ୍ରହଣ କରି ସରକାରଙ୍କ ଦ୍ୱାରା ବିପନ୍ନ ହେବାକୁ ଥିବା ଅଞ୍ଚଳଗୁଡ଼ିକରୁ ଲୋକମାନଙ୍କୁ ସୁରକ୍ଷିତ ସ୍ଥାନକୁ ସ୍ଥାନାନ୍ତରିତ କରିଦିଆଯାଇପାରିଲା। ଫଳତଃ ବ୍ୟାପକ ଜୀବନହାନିକୁ ରୋକାଯାଇପାରିଲା। ତେବେ ଏଥିପାଇଁ ଭାରତୀୟ ମହାକାଶ ଗବେଷଣା ସଂସ୍ଥା ଭାରତୀୟ ପାଣିପାଗ ବିଭାଗ, ଆମେରିକୀୟ ନୌସେନାର ପାଣିପାଗ ବିଭାଗ, ସ୍କାଏମେଟ୍ ଆଦି ସଂସ୍ଥାର ପୂର୍ବାନୁମାନ ସୁସମନ୍ବୟ ଓ ଅତ୍ୟାଧୁନିକ ବିଜ୍ଞାନ ଓ ପ୍ରଯୁକ୍ତିବିଦ୍ୟା ଦାୟୀ।

କେମିତି ଫେରି ପାଇବେ ସୁସ୍ଥ ପରିବେଶ
ସାମୁଦ୍ରିକ ଘୂର୍ଣ୍ଣିବାତ୍ୟା ‘ଫନୀ’ରେ ଓଡ଼ିଶାର ପୂର୍ବ ଉପକୂଳରେ ଥିବା ସବୁଜ ବଳୟ ସଂପୂର୍ଣ୍ଣ ରୂପେ ଧ୍ୱଂସ ପାଇଯାଇଛି। ସରକାରୀ ହିସାବ ଅନୁଯାୟୀ ଫନୀ ବାତ୍ୟା ଯୋଗୁଁ ପାଖାପାଖି ୧୦ ମିଲିୟନରୁ ଅଧିକ ବୃକ୍ଷ ଉପୁଡ଼ି ପଡ଼ିବା ସହ ସମସଂଖ୍ୟକ ବୃକ୍ଷଲତା କ୍ଷତିଗ୍ରସ୍ତ ହୋଇଛନ୍ତି। ଅହେତୁକ ବୃକ୍ଷ ନଷ୍ଟ ଯୋଗୁଁ ପରିବେଶର ସନ୍ତୁଳନ ଠିକ୍ ରହିପାରିବ ନାହିଁ, ଯାହା ସ୍ଥାନୀୟ ଜୈବ ବିବିଧତା ଉପରେ ପ୍ରଭାବ ପକାଇବ। ବୃକ୍ଷଲତା ଶୂନ୍ୟ ହୋଇଯାଇଥିବାରୁ ଏବଂ ଗ୍ରୀଷ୍ମଋତୁ ହୋଇଥିବାରୁ ତାପମାତ୍ରାରେ ଅହେତୁକ ବୃଦ୍ଧି ଦେଖାଯିବ, ଭୂତଳ ଜଳସ୍ତର ମଧ୍ୟ ହ୍ରାସ ପାଇବ। ଜୀବଜନ୍ତୁ ତଥା ଗଛରେ ଆଶ୍ରା କରି ବଞ୍ଚୁଥିବା ପକ୍ଷୀମାନଙ୍କ ସାଧାରଣ ସହାବସ୍ଥାନ ଅତିମାତ୍ରାରେ ପ୍ରଭାବିତ ହେବ। ଏସବୁ ନିଶ୍ଚିତ ଭାବରେ ଏକ ଦୁର୍ଦ୍ଦଶାମୟ ପରିବେଶର ଅସନ୍ତୁଳନ ଆଡ଼କୁ ବାଟ କଢ଼ାଇ ନେବ। ତେଣୁ ପରିବେଶ, ପର୍ଯ୍ୟାବରଣ ଓ ଜୈବ ବିବିଧତାରେ ଦେଖାଯିବାକୁ ଥିବା ଏହି ବ୍ୟାପକ ଅସନ୍ତୁଳନକୁ କେବଳ ବୃକ୍ଷରୋପଣ ଦ୍ୱାରା ହିଁ ରୋକି ହେବ।
-ସାର୍ଥକ ପ୍ରଧାନ, ଭୂତତ୍ତ୍ୱ ବିଜ୍ଞାନ ବିଭାଗ,
ରେଭେନ୍ସା ବିଶ୍ୱବିଦ୍ୟାଳୟ

